Над 2000 души са били спасени от Хюстън и околностите му след наводненията, причинени от тропическия ураган "Харви", като при спасителните акции са били използвани хеликоптери, които да прибират хората от покривите, съобщава Би Би Си.
Има съобщения за загинали хора, които са останали блокирани в автомобилите си, но това още не е потвърдено от полицейските служби. Губернаторът на щата Тексас Грег Абът не е потвърдил също за смъртни случаи, но информира, че над 250 пътища за затворени.
Международното летище "Джордж Буш" преустанови работа заради наводненията, причинени от урагана. По-малките летища в района също не работят, защото са наводнени пистите и пътищата към тях.
Една от най-големите болници в Хюстън – "Бен Тауб" също е била евакуирана заради наводнение на по-ниските етажи, прекъснало електричеството.
Последиците от "Харви" са по-лоши от това, което се очакваше, обявиха от американската Федерална метеорологична служба. Все пак силата на урагана вече е паднала до тропическа буря.
Кметът на Хюстън Силвестър Търнър заяви, че не съжалява за решението си да не издава заповед жителите на града да се евакуират преди урагана Харви.
На пресконференция в неделя вечерта Търнър потвърди, че най-добрият вариант за жителите на Хюстън и околностите е бил да останат на място. Той обясни причините за решението си - фактът, че не е било сигурно накъде ще се насочи бурята, както и "безумната" по думите му логистика на спешната евакуация на 2,3 млн. души.
Президентът Доналд Тръмп заяви, че ще отпътува за Тексас "щом това стане възможно, без да се създават затруднения", предаде Асошиейтед прес. Той похвали държавните ведомства за справянето им с последиците от урагана Харви. "Прекрасна координация между агенциите на всички нива на управлението", написа той в Туитър.
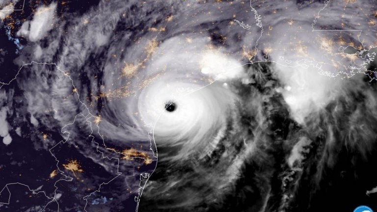
Харви връхлетя крайбрежието на Тексас като ураган от четвърта степен в петък вечерта. Впоследствие отслабна до тропическа буря, но властите предупредиха, че това не трябва да успокоява населението и природната стихия крие рискове.
Бавното напредване на Харви я прави много опасна, тъй като поройни дъждове ще валят над едни и същи райони няколко дни. Националният център за ураганите предупреди, че на места до четвъртък се очакват още сериозни валежи, които могат да доведат след себе си до "катастрофални наводненията с възможни жертви".

